Plus: Donald Trump’s plan to subvert the midterms is already under way.

Catch up on The Atlantic with an editor’s selection of stories that will continue to spark conversations in the week ahead.

Did someone forward you this newsletter? Sign up here.

Two moods of Rahm Emanuel, on the Chicago River (Evan Jenkins for The Atlantic)

He’d like you to keep an open mind.

Our election system is reaching a breaking point.

(Illustration by Paul Spella. Source: Douglas Sacha / Getty.)

Donald Trump is trying to amass the powers of a king.

An aide carries the nuclear football onto Marine One (Andrew Harnik / Getty)

The president says he wants to resume nuclear testing but doesn’t seem to know why.

(Illustration by The Atlantic. Source: Bettman / Getty.)

This year, for the first time in nearly a century, more foreign-born people will likely leave the United States than will enter.

Data centers in New Carlisle, Indiana (AJ Mast / The New York Times / Redux)

The U.S. is becoming an Nvidia-state.

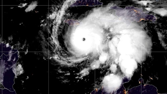
The monster storm is crawling across the Caribbean.

(Illustration by Akshita Chandra / The Atlantic)

Stephen Miller, Marco Rubio, Kristi Noem, and others have taken over homes that until recently housed senior officers.

Will he give a 19th-century law another look?

(Illustration by Brian Blomerth)

The rise of headphone listening has changed us profoundly—and maybe not for the better.

(Pat Martin for The Atlantic)

What will we lose when we lose the “literary outdoorsman”?

(Illustration by Akshita Chandra / The Atlantic*)

The government is calling its illegal-gambling charges a major case. It’s more like small potatoes.

(Erick W. Rasco / Sports Illustrated / Getty)

The thrilling World Series shows that baseball is truly back—just in time for its next crisis.


Sign up for One Story to Read Today, in which our editors cut through the noise and recommend a single newly published—or newly relevant—must-read from The Atlantic.

Did someone forward you this email? Sign up here.

Explore all of our newsletters.

{include "csg_conditional_display_house_ad"}

This email was sent to [email protected]
You've signed up to receive newsletters from The Atlantic.

If you wish to unsubscribe from The Atlantic newsletters, click here.

To update your email preferences, click here.

The Atlantic Monthly Group LLC · 610 Water Street, SW · Washington, DC 20024