This is a story about President Donald Trump spreading false information during an emergency situation. Not once or twice – three times.
When a news outlet pointed out the President was wrong, he called the report “phony” and insisted that he was right. But his own National Weather Service had said he was wrong.
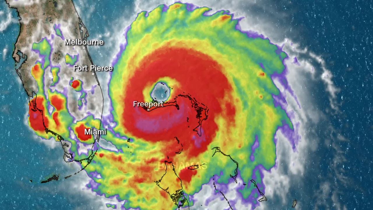
The story starts on Sunday morning, at 10:51 a.m. ET, when Trump tweeted out a warning about the severity of Hurricane Dorian.
“In addition to Florida – South Carolina, North Carolina, Georgia, and Alabama, will most likely be hit (much) harder than anticipated,” the President wrote.
Trump was wise to issue an alert, since Dorian was rapidly strengthening at the time. But he was wrong to include Alabama in his list of affected states. Alabama borders the Gulf of Mexico but not the Atlantic, and was never forecast to be “hit” by the storm.
Trump’s critics suggested that this error showed a fundamental misunderstanding of geography on the part of the President.
Alabama Gov. Kay Ivey on Friday had authorized the Alabama National Guard to send up to 50 support personnel to Florida to help with Dorian’s impacts there. She said that “we are proud to help Florida as they brace for potential impact from Hurricane Dorian.”
When Trump posted his incorrect tweet on Sunday, local meteorologists like James Spann refuted it right away. Spann, a veteran Alabama forecaster who is widely respected for his coverage of tornado outbreaks, responded to Trump at 11:31 a.m. and said, “Alabama will not be impacted by Dorian in any way.”
When Spann’s tweet went viral and a local resident questioned him, the meteorologist later tweeted, “I have zero interest in politics. Dorian will not affect Alabama in any way. That is not a political statement.”
The Birmingham, Alabama, branch of the National Weather Service agreed. At 11:11 a.m. ET, the office had tweeted that “Alabama will NOT see any impacts from #Dorian. We repeat, no impacts from Hurricane #Dorian will be felt across Alabama. The system will remain too far east.”
While that tweet wasn’t a direct response to Trump, it came just 20 minutes after the President’s faulty information was posted.
At almost the same time, Trump was speaking to reporters on the South Lawn of the White House. At 11:14 a.m. ET, he began by thanking law enforcement in Texas for responding to Saturday’s mass shooting in Odessa and Midland. Then he introduced a US Coast Guard official who, he said, had been keeping him informed about Dorian.
“We have a lot of great people working right now,” Trump said. “We don’t know where it’s going to hit, but we have an idea. Probably a little bit different than the original course. The original course was dead into Florida. Now it seems to be going up to toward South Carolina, toward North Carolina. Georgia is going to be hit. Alabama is going to get a piece of it, it looks like. But it can change its course again and it could go back more toward Florida.”
Trump was generally correct about Georgia and the Carolinas feeling the effects of the hurricane, along with Florida. But at the time there was no evidence that Alabama would “get a piece of it,” as the President claimed.
Trump made the false claim again an hour later, at a FEMA briefing event that began at 12:31 p.m.
He said Dorian “may get a little piece of a great place: It’s called Alabama.” Alabama, of course, was a key source of support for Trump’s insurgent campaign in 2015 and 2016. The President said that Alabama “could even be in for at least some very strong winds and something more than that, it could be. This just came up, unfortunately.”
NOAA spokesman Chris Vaccaro confirmed to reporters that Alabama was not forecast to be affected by the hurricane.
On Monday, several news outlets pointed out that Trump’s information was incorrect. On ABC’s “World News Tonight,” White House correspondent Jon Karl noted that Trump “misstated the storm’s possible trajectory.” Karl’s report played a sound bite from Trump at the FEMA briefing, which had taken place more than an hour after the National Weather Service’s Birmingham office sent out the correct information.
Trump evidently watched the report, because he tweeted out a complaint. At first he misspelled Karl’s name and tagged the wrong person. Then he deleted the tweet and reposted it with the correct spelling.
“I suggested yesterday at FEMA that, along with Florida, Georgia, South Carolina and North Carolina, even Alabama could possibly come into play, which WAS true. They made a big deal about this … when in fact, under certain original scenarios, it was in fact correct that Alabama could have received some ‘hurt.’ Always good to be prepared!” Trump wrote.
So he suggested he was citing “certain original scenarios” when he had said on Sunday that Alabama could be “hit” by Dorian.
But his own comments at Sunday’s FEMA briefing contradicted this explanation. He said at the briefing that the information about Alabama “just came up, unfortunately.”
Who misinformed the President about the forecast track? It is unclear. White House press secretary Stephanie Grisham responded to CNN’s question by saying: “At the briefing at Camp David, the President and others in attendance were told it was important that the focus shouldn’t be on the ‘line or track’ of the hurricane. That despite where Dorian would ultimately make landfall, the ‘expanse of the wind field is large’ and there was still ‘a lot of uncertainty.’ His comments were simply noting those points, and with Alabama’s proximity to Florida it makes sense.”
Florida and Alabama share a border, but Alabama is about 250 miles from the Florida east coast at its closest point.
At 11 a.m. ET Sunday, around the time Trump began to bring up Alabama, hurricane-force winds were 45 miles from the storm’s center and tropical storm-force winds were 140 miles from the center.
At no time had the government forecast that hurricane-force winds could reach any part of Alabama.



